Hurricane Erin, rapidly escalating in strength, threatens the Caribbean region with severe weather warnings issued across multiple territories.
Alert Regarding Hurricane Erin
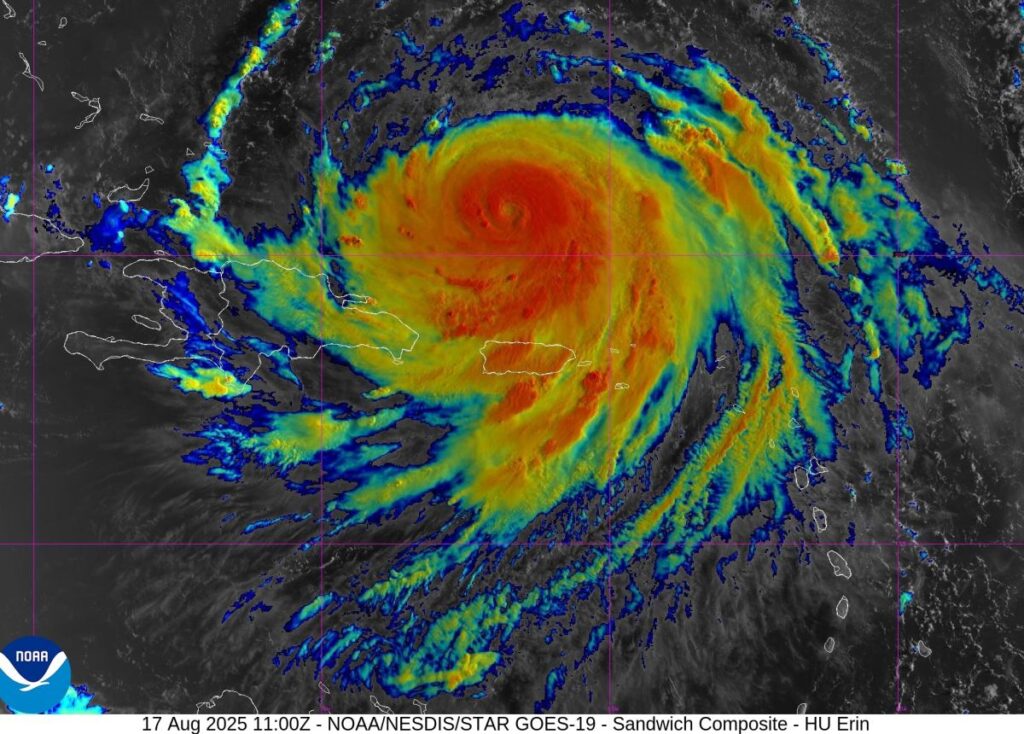
The National Hurricane Center announced on Sunday morning that the Virgin Islands and Puerto Rico would experience further intense rainfall, with potential for flooding, landslides, and mudslides. In the Turks and Caicos Islands tropical storm conditions are expected, and such conditions could arise in the southeastern Bahamas from Sunday evening through Monday. Erin is likely to produce life‑threatening waves and rip currents along the Bahama beaches, a large portion of the U.S. East Coast, Bermuda, and Atlantic Canada within the next few days, the agency warned. Residents of North Carolina, the Mid‑Atlantic, and Bermuda were also urged to monitor the hurricane’s progress, as strong winds may occur mid‑week. The peak wind speed of Hurricane Erin is about 200 km/h, and it is unlikely to make direct landfall.
One of the Fastest Intensifying Hurricanes
Even on Saturday, Hurricane Erin was classified as a Category 5, the highest category. By Sunday morning (Polish time), it had already slipped to Category 4. CNN reports that Erin ascended from a Category 1 hurricane with 120 km/h winds at 11:00 a.m. Friday to a Category 5 hurricane with almost 257 km/h winds just 24 hours later, making it one of the fastest‑intensifying Atlantic hurricanes in history and potentially the fastest among all hurricanes before September 1. It is projected to regain Category 5 strength in the coming days.

