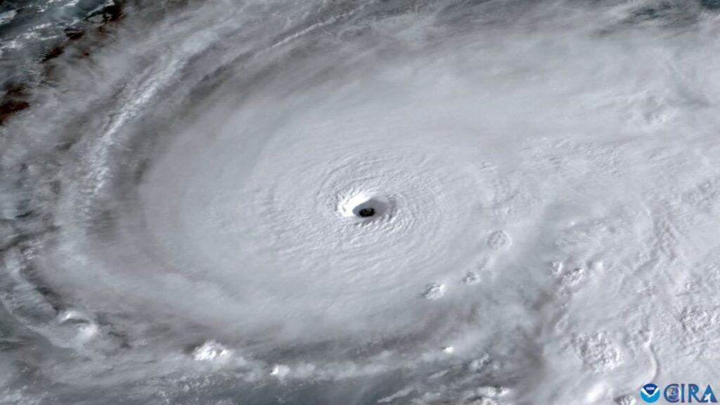
Hurricane Melissa intensifies, threatening up to 100 litres of rain per square metre on Jamaica; a National Oceanic and Atmospheric Administration aircraft dived into its eye amid extreme turbulence, capturing rare footage.
Hurricane Melissa Threatens Jamaica
Hurricane Melissa is growing stronger as forecasts anticipate up to 100 litres of rain per square metre falling on Jamaica. Storm surges could reach four metres, potentially isolating communities and causing infrastructure damage. Authorities warn of strong winds, flooding and landslides, and predict the system will head toward Cuba before turning back, sparing the United States.
Polish Citizens Advised to Seek Shelter
Polish consular services, operating from the diplomatic post covering Jamaica, monitor the situation closely. With Melissa already at Category 5, officials say it may be the worst storm ever recorded in the area. Airports have closed and the hurricane is scheduled to strike land on Tuesday local time. The Polish diaspora, including actor Michał Żebrowski and his family, have been urged to find safe shelter and follow local emergency advice.
Aircraft Strikes the Eye of the Storm
National Oceanic and Atmospheric Administration aircraft, tasked with tracking Melissa, were forced to abort their mission amid intense turbulence—a rare event. Meteorologist Matthew Cappucci described the hurricane as a “true monster” and noted that the storm’s eye contained around fifty birds that had been drawn in. Most of the birds are trapped and cannot escape until the storm weakens, unless they land on passing ships or another suitable surface.
Rare Footage Released
Aviation footage captured by the aircraft shows it diving into Melissa’s eye, offering a rare glimpse of the storm’s interior. The video was released by AFP.

